613 S Latah Street Boise, ID 83705
Directions
Americana to Latah, South on Latah *between Rose Hill/Cassia)
Price: $694,900
Beds: 3
Baths: 1
Garages: 1
Type: Single Family Residence
Area: Boise Bench - 0400
Land Size: 10000 SF - .49 AC, Garden, Sidewalks, Auto Sprinkl
SqFt: 1112
Acres: 0.48
Subdivision: Criner Sub
Year Built: 1953
Construction: Brick
Includes
Fireplace: One
Air Conditioned: true
Water: City Service
Heating: Forced Air, Natural Gas
Schools
School District: Boise School District #1
Sr High School: Borah
Jr High School: South (Boise)
Grade School: Jefferson (Boise)
Contact for more details:
A-Team Consultants
1099 S Wells St #200, Meridian, ID 83642
Phone: 208.761.1735 Email: info@ateamboise.com
1099 S Wells St #200, Meridian, ID 83642
Phone: 208.761.1735 Email: info@ateamboise.com
Description
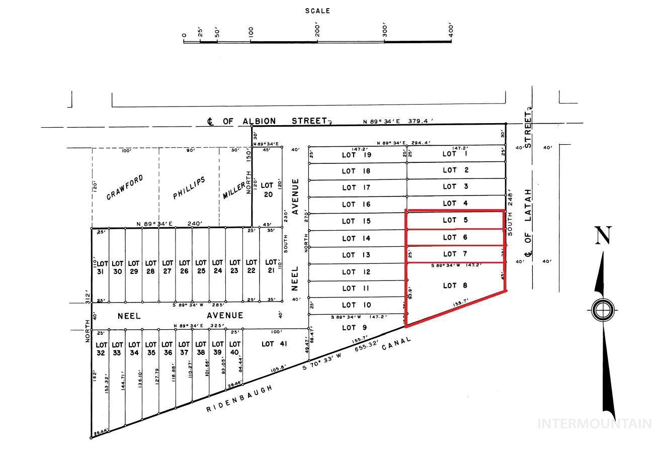
A Builders Unicorn. 4 recorded legal lots in a prime Boise Bench location. Two blocks from Rose Hill, three blocks from Wyld Child, Push and Pour, STIL and Primal Coffee. Minutes to the Saturday Farmers Market, Parks, Greenbelt, River and Downtown. Existing (vacant) home is a tear down, established sidewalks and utilities along frontage street. Zoned R-2 (single family, multiple-family and limited commercial uses). Ask about lot line adjustments for increased frontage per lot.
Legal Description:
LOTS 5 TO 8 INC CRINER SUB #9145009
LOTS 5 TO 8 INC CRINER SUB #9145009
| Listing info for this property courtesy of Atova Information deemed reliable but not guaranteed. Buyer to verify all information. All properties are subject to prior sale, change or withdrawal. Neither listing broker(s), shall be responsible for any typographical errors, misinformation, misprints and shall be held totally harmless. |





